Nazywany królem przypraw. Dodaj do ogórków kiszonych, a będą jędrne i chrupiące

Ma silny aromat i silne właściwości, dlatego ceniony jest nie tylko przez szefów kuchni. Zajmuje bowiem szczególne miejsce również w medycynie ludowej. Bez problemu wyhodujesz w przydomowym ogródku i wykorzystasz do kiszonek. Dodaj go do ogórków, a będą jędrne jak nigdy.

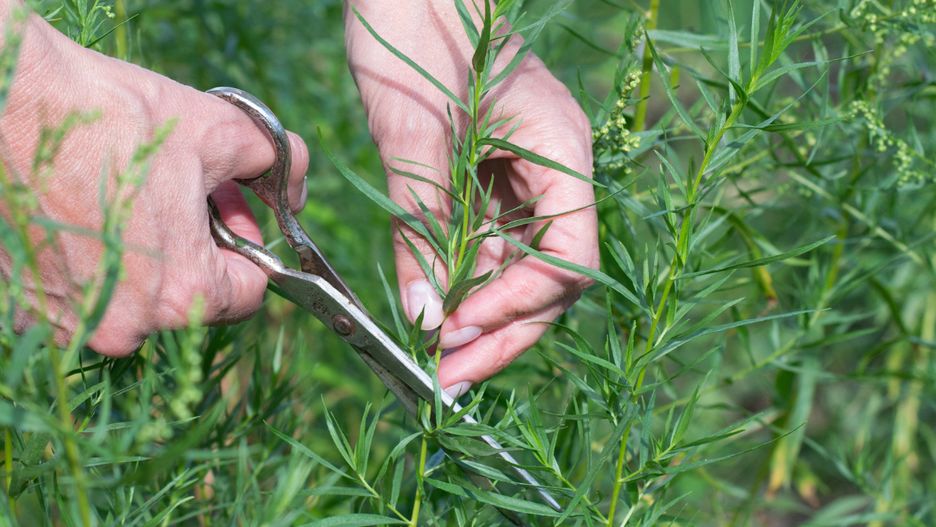
Estragon nazywany jest królem przyprawEstragon nazywany jest królem przypraw
Źródło zdjęć: © Adobe Stock

Estragon, inaczej bylica estragon, bylica draganek, estragon zwyczajny lub wężowe ziele, jest sekretnym składnikiem wielu dań i królem przypraw, szczególnie cenionym przez europejskich kucharzy. Kwitnie od lipca do października, zbierać można go sukcesywnie przez cały sezon, ale najlepszy termin to lipiec i sierpień. To więc najlepsza pora na zbiór i wykorzystanie właściwości kulinarnych oraz zdrowotnych estragonu.

Dalsza część artykułu pod materiałem wideo

Pistacjowe rollsy piekę na okrągło. Szybko się robią, a jeszcze szybciej znikają

Na co dobry jest estragon? Właściwości zdrowotne

Estragon ma udowodnione korzystne działanie na nasze zdrowie. Wspomnieć należy przede wszystkim o tym, że estragon pobudza procesy trawienne, dlatego warto go stosować z ciężkostrawnymi potrawami. Przyprawa ta usprawni trawienie i może pomóc w łagodzeniu dolegliwości żołądkowych. Ponadto estragon ma właściwości żółciopędne, wspomaga więc pracę wątroby.

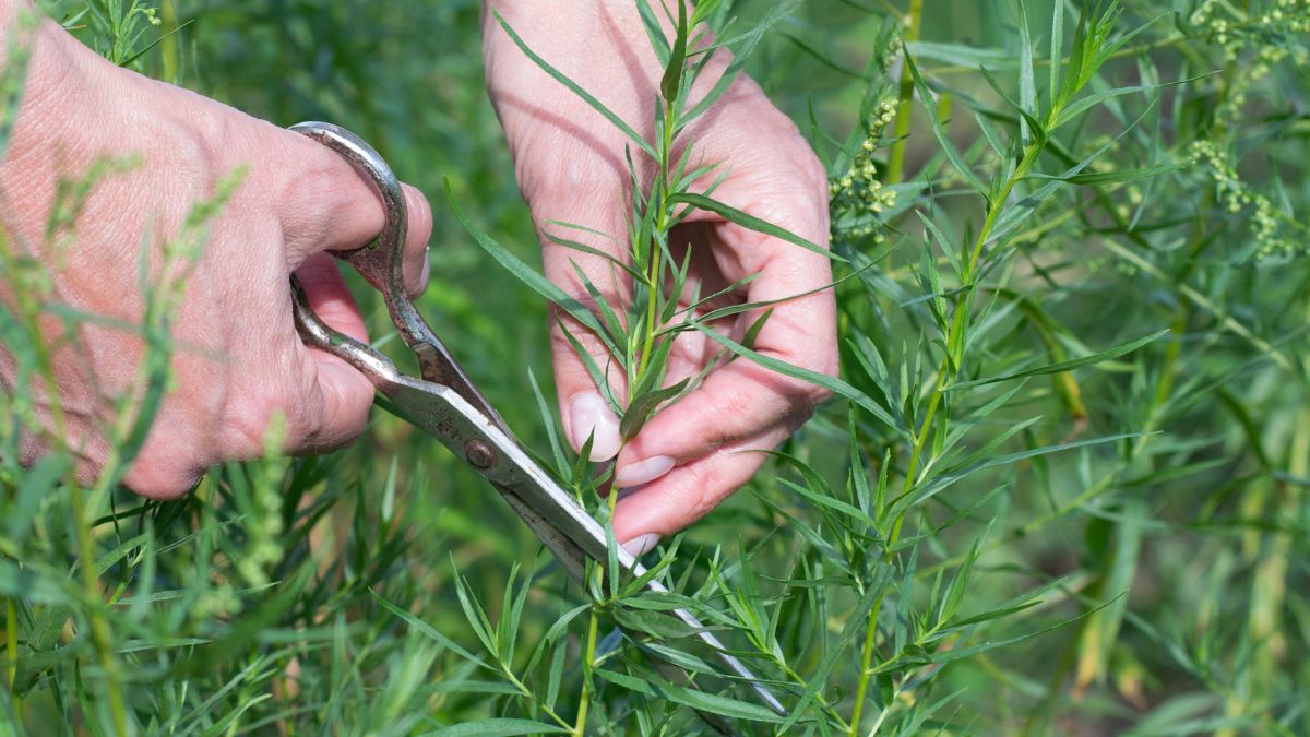
Estragon nazywany jet królem przypraw
Estragon nazywany jet królem przypraw © Pixabay

W czym jeszcze pomaga estragon? Warto dodać, że wykazuje właściwości relaksujące, zatem może pomóc zredukować stres i napięcie, a także poprawić jakość snu i ułatwić zasypianie. Co więcej, ekstrakty z estragonu wykazują działanie przeciwzapalne, bakteriobójcze, a w medycynie ludowej roślinę tę stosowano jako środek pobudzający miesiączkę. Chcąc stosować estragon w celach leczniczych, najlepiej sięgnąć po napar z ziela estragonu, nalewkę, ocet, ekstrakt lub olejek eteryczny.

Zastosowanie estragonu w kuchni. Niezastąpiony dodatek do kiszonki

Estragon ma lekko gorzki, przypominający anyż smak (świeże liście estragonu są zdecydowanie lepsze niż suszone, gdyż zachowują pełnię smaku). Co jednak istotne, to bardzo intensywna przyprawa, nie należy więc przesadzać z jej ilością, by nie zdominowała ona smaku dania.

Do jakich potraw używać estragon? Przyprawa ta doda wyrazistego smaku i aromatu serom, potrawom z ziemniaków, rybnym i mięsnym, a zwłaszcza tym z jagnięciną, kurczakiem i wieprzowiną. Świeże liście estragonu nadają się do sałatek i zup, a suszone mogą być dodatkiem do aromatycznych sosów, dressingów, musztard, majonezów. Ponadto estragon świetnie nadaje się do przygotowania własnego octu z nutą ziołową. Można nim również aromatyzować desery oraz napoje, np. lemoniady.

Estragon to również świetny dodatek do kiszonej kapusty i kiszonych ogórków. Najlepiej jeśli jest świeży, suszone przyprawy mogą nadać kiszonce gorzki smak. Estragon dodany do ogórków kiszonych sprawi, że te nabiorą bardziej wyrazistego smaku, zachowają świeżość na dłużej, będą twarde i jędrne. Ponadto dodatek ten będzie przeciwdziałał powstawaniu dziur, pękaniu i gniciu ogórków.

Wybrane dla Ciebie
Wygląda jak czarna oliwka, a to owoc. Stymuluje pracę jelit i reguluje ciśnienie
Wygląda jak czarna oliwka, a to owoc. Stymuluje pracę jelit i reguluje ciśnienie
Dodaj do surówki z kiszonej kapusty. Zniknie z talerza szybciej niż kotlet
Dodaj do surówki z kiszonej kapusty. Zniknie z talerza szybciej niż kotlet
Ta kawa bije rekordy popularności. Spróbujesz raz i zapomnisz o cappuccino
Ta kawa bije rekordy popularności. Spróbujesz raz i zapomnisz o cappuccino
To najlepsza sałatka andrzejkowa. Tylko nie pomijaj chrupiącego dodatku
To najlepsza sałatka andrzejkowa. Tylko nie pomijaj chrupiącego dodatku
Nie dodawaj od razu tych dwóch składników. Sałatka jarzynowa szybciej się popsuje
Nie dodawaj od razu tych dwóch składników. Sałatka jarzynowa szybciej się popsuje
Sernik z kaszy jaglanej to prawdziwy hit. Nie znajdziesz w nim ani grama twarogu
Sernik z kaszy jaglanej to prawdziwy hit. Nie znajdziesz w nim ani grama twarogu
Nie dodawaj tej przyprawy w proszku. Wiele osób popełnia błąd i potem grzaniec robi się mętny
Nie dodawaj tej przyprawy w proszku. Wiele osób popełnia błąd i potem grzaniec robi się mętny
Co roku na andrzejki robię panierowane kulki serowe. Goście wolą je bardziej niż lanie wosku
Co roku na andrzejki robię panierowane kulki serowe. Goście wolą je bardziej niż lanie wosku
Na andrzejki robię włoskie kulki z mięsem. Więcej sycących przekąsek nie trzeba
Na andrzejki robię włoskie kulki z mięsem. Więcej sycących przekąsek nie trzeba
Gdy portfel świeci pustkami, gotuję jajka i serwuje je w sosie koperkowym. To tanie, ale smaczne danie
Gdy portfel świeci pustkami, gotuję jajka i serwuje je w sosie koperkowym. To tanie, ale smaczne danie
Na obiad robię pierogi ruskie bez ciasta. Smak ten sam, a znacznie mniej roboty
Na obiad robię pierogi ruskie bez ciasta. Smak ten sam, a znacznie mniej roboty
Skórki z pomarańczy odkładam na zapas. Robię z nich pyszny dodatek w lekkim syropie
Skórki z pomarańczy odkładam na zapas. Robię z nich pyszny dodatek w lekkim syropie
ZACZEKAJ! ZOBACZ, CO TERAZ JEST NA TOPIE 🔥